* No se descarta que cuando toque tierra alcance la categoría 4 debido a que las condiciones océano-atmosféricas favorecen una rápida intensificación
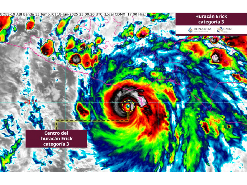
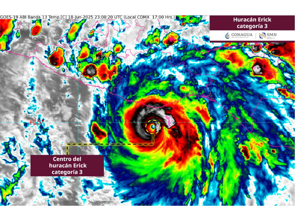
Oaxaca de Juárez, Oaxaca.- El Huracán “Erick” se intensificó a categoría 3 en la escala Saffir-Simpson, con vientos sostenidos de 195 kilómetros por hora (km/h) y rachas que alcanzan los 220 km/h, informó el Consejo Estatal de Protección Civil.
Este fenómeno meteorológico registra una alta intensidad, de acuerdo a la medición de la presión central mínima, la cual se ubica en 953 hectopascales.
A las 18:00 horas de este miércoles 18 de junio, el Huracán “Erick” se localizaba a 90 kilómetros al sur-suroeste de Puerto Ángel, Oaxaca; y se desplazaba hacia el noroeste a una velocidad de 15 km/h.
Ante esta situación, se mantiene el pronóstico de impacto durante la madrugada de este jueves, con posible entrada a tierra entre Puerto Escondido, Oaxaca, y Punta Maldonado, Guerrero; no se descarta que, para ese momento, alcance la categoría 4 debido a que las condiciones océano-atmosféricas favorecen una rápida intensificación.
Se espera que el Huracán “Erick” genere lluvias extraordinarias en el estado de Oaxaca, con acumulaciones superiores a 250 milímetros (mm), las cuales podrían causar desbordamiento de ríos y arroyos, deslaves en zonas montañosas, encharcamientos e inundaciones en áreas bajas e interrupciones en caminos y carreteras.
Además, se prevén vientos muy fuertes en las costas de Oaxaca, con velocidades de 190 a 200 km/h y rachas que podrían superar los 210 km/h, así como oleaje elevado de seis a ocho metros, mareas de tormenta entre 2-2.5 metros y la posible formación de trombas marinas frente a la costa.
Ante ello, la Coordinación Estatal de Protección Civil y Gestión de Riesgos (CEPCyGR) exhorta a la población a: Extremar precauciones por lluvias, vientos y oleaje elevado; Evitar actividades en zonas costeras y navegación marítima; Mantenerse informada a través de fuentes oficiales y atender las indicaciones de las autoridades de Protección Civil.
El Consejo Estatal de Protección Civil mantiene vigilancia permanente y trabaja de forma coordinada con los tres órdenes de Gobierno para salvaguardar la integridad de la población oaxaqueña ante la evolución de este fenómeno.
